湘潭房產網7月27日訊 近日,湘潭經開區在2018年湖南-長三角經貿合作洽談周上,一舉簽下了16個產業項目,總投資額達166.87億元。從這里可以看出,五湖四海的實力投資商看好湘潭經開區發展實力和發展前景。
好消息來了!湘潭經開區建成區的成熟區域即將推出一宗優質地塊,吸引了眾多投資商的關注。讓我們來揭開這宗地塊神秘的面紗吧!
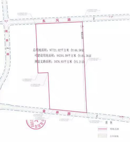
東風路以南、金井路以北地塊位于國家級湘潭經開區城市核心,總規劃用地面積146.58畝,可建設用地面積94244.09㎡,用地性質為二類居住用地,凈容積率≤2.6,建筑密度≤20%,綠化率≥35%,建筑限高<100米。


萬億長株潭,兩千億大九華
這一地塊位于湘潭經開區的核心區位,可以盡享湘潭經開區的長株潭融城紅利。
長株潭三市以占全省1/7的面積、1/3的人口,集聚了全省60%以上的高新技術企業,實現了全省60%以上的高新技術產業增加值,完成了全省70%的進出口總額。湘潭經開區位于長株潭的地理中心位置,盡享長株潭的產業鏈互補紅利、科教創新資源紅利、基礎設施共享紅利。
湘潭經濟技術開發區是全省第四個“千億園區”。2015年與蘇州工業園等獲評中國最具投資吸引力園區和最具發展潛力園區之一。2017年,湘潭經開區成為全省第三個技工貿總收入過兩千億的園區,在全國經開區中排名第40位。

高端人口聚集,房屋銷量占據湘潭半壁江山
地塊所在的湘潭經開區區域周邊35平方公里內有中南大學、湖南大學等126所高等職業院校。近幾年經開區的常住人口年均增長率均在10%以上,流入人口以外企員工、企業科研人員、高端技工人員為主。
2017年湘潭經開區完成商品房銷售153.70萬㎡,占湘潭全市總銷售量的42%,銷售額67.84億元,同比增長106%。

成熟美地,四通八達

從交通區位來看,地塊地處湘潭的“北大門”——2分鐘之內,即可進入長潭西高速、潭邵高速,便利通達省會長沙及株洲、婁底、邵陽等;5分鐘可到達潭州大道,雙向八車道免費通長沙,10分鐘可到滬昆高鐵湘潭北站,40分鐘可到黃花機場。

根據最新消息,長沙地鐵3號線將南延至湘潭北站,并可在湘潭北站換乘磁懸浮→株洲大豐站→長沙高鐵南站→黃花國際機場,這將實現長沙、湘潭、株洲的閉環交通。
從城市配套來看,1公里半徑內,新景未來城、美江國際、萬隆清華坊三大樓盤林立,社區商業配套成熟;3公里半徑內,聚集了九華公立第二幼兒園、杉山小學等教育資源;布局了投資4億元,面積1000畝的九華湖德文化公園,占地170畝的蓮城大橋橋頭濕地公園;維也納、綠之韻等星級賓館布局在這個區域。
從政府服務來看,湘潭經開區已經實行了“最多跑一次”改革,一個部門受理、一個部門辦結、一條龍服務的行政審批體系已經構建,審批效率可實現1天完成工商注冊、2天完成不動產登記、30天完成項目開工前全部審批手續的“123”行政審批“九華速度”。可以極大地節省開發商的時間成本。
